作者: 文章来源: 发布时间:2019-11-27 08:59:09 您是第位浏览者
周边居民及相关单位:
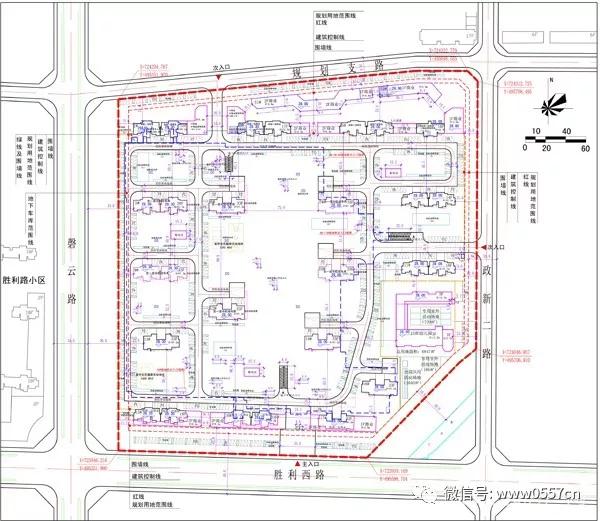
宿州市城乡建设指挥部工程五部拟建小秦楼棚改安置区项目,位于磬云路以东、胜利西路以北、政新二路以西、规划支路以南,用地面积125356.68平方米(约187.9亩)。(具体位置见下图)

项目规划18栋高层住宅及1所15班幼儿园,高层住宅包括11栋33层住宅、1栋28层住宅、2栋18层住宅、2栋17层住宅、1栋16层住宅、1栋14层住宅。沿街1F一2F商业及配套用房等,地下配建一层地下车库。配套设施包括社区卫生服务站、老年人设施用房、社区服务用房、物业管理用房、公厕、配电房、门卫以及室外全民健身活动场地。

规划总建筑面积334563.47平方米(地上建筑面积275758.37平方米,地下建筑面积58805.1平方米)。项目容积率2.2,建筑密度14.2%,绿地率36.0%,机动车停车位2522辆(其中地上608辆、地下1914辆),其中充电桩车位259辆,小区非机动车停车位3581辆(其中地上2010辆、地下1571辆)。(具体技术经济指标详见下图)

项目内部新建住宅满足大寒日2小时日照标准,幼儿园满足冬至日3小时日照标准,项目东北侧瞰景苑小区满足大寒日3小时日照标准,项目西侧胜利路小区满足大寒日2小时日照标准,对雪枫小学日照无影响。

小秦楼安置区鸟瞰图

小秦楼安置区现状实景航拍
根据城市规划相关规定,宿州市自然资源和规划局将按照如图所示对该项目进行批前公示。凡是与本项目有重大利害关系的公民、法人及其他组织,依法享有陈述、申辩和要求听证的权利。如对本公示内容有异议的,请于公示期间持本人有效身份证明及证明利害关系的相关资料(如本人房屋所有产权证等)向我局进行陈述,申辩或者提岀听证会书面申请。逾期未进行陈述、申辩或提出听证申请的视为自动放弃上述权利。此规划方案为批前征求意见稿,最终规划方案以宿州市自然资源和规划局批准确定。
规划编制单位:宿州市规划设计研究院
建设单位:宿州市城乡建设指挥部工程五部
公示单位:宿州市自然资源和规划局
公示时间:2019年11月25日至2019年12月3日
联系人:汪工
联系方式:0557-3937113
此公示图为宿州市自然资源和规划局批前公示图,未经许可不得擅自撕毁,否则将追究法律责任。
宿州市自然资源和规划局
2019年11月25日